बिक्री के लिए भूमि LAND
पता: ‎48 Shelburne Road
पिन कोड: 10710
分享到
$1,54,000
SOLD
₹1,31,00,000
SOLD
हिन्दी Hindi

$1,54,000 SOLD - 48 Shelburne Road, Yonkers, NY 10710| SOLD

Property Description « हिन्दी Hindi »

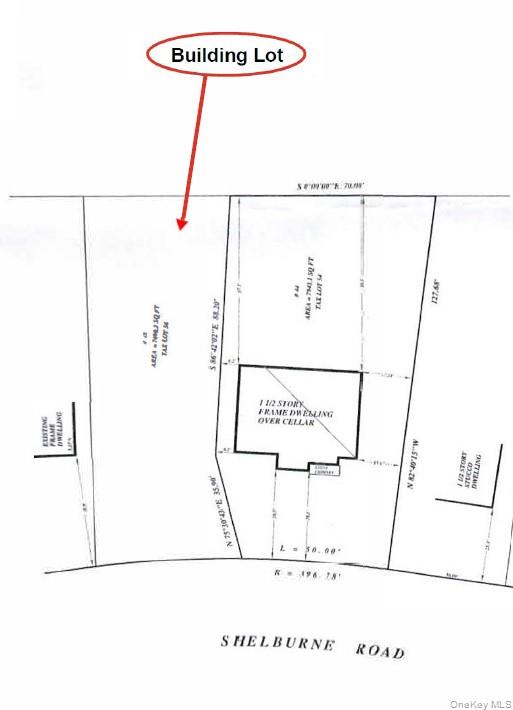
निर्माण योग्य स्तर का भूखंड, विस्तार करने, दूसरी गृह बनाने या अतिरिक्त गोपनीयता और निवेश की संभावनाओं को सुरक्षित करने का एक दुर्लभ अवसर प्रदान करता है। भूखंड पर निर्माण के लिए भिन्नता है। प्रमुख पार्कवे, सार्वजनिक परिवहन, दुकानों, विद्यालयों, पार्कों और रेस्तरां के निकट सुविधाजनक रूप से स्थित है। यह भूखंड 44 शेलबर्न के बाईं ओर है - दाएं तरफ लाल घर है - घर की बिक्री कीमत $749,000 है (कर# 1800-003-000-03208-000-0054, MLS 904460, 0.20 एकड़ पर 3 बेडरूम का घर)।

विवरण
Details
भूमि का आकार: 0.11 एकड़
कर (प्रति वर्ष)
Taxes
(per year)
$2,188
Are you the listing agent? Sign up to add your name/photo/cell to your flyers. helpdesk@Samaki.com
房屋概況 Property Description « हिन्दी Hindi »« ENGLISH »

निर्माण योग्य स्तर का भूखंड, विस्तार करने, दूसरी गृह बनाने या अतिरिक्त गोपनीयता और निवेश की संभावनाओं को सुरक्षित करने का एक दुर्लभ अवसर प्रदान करता है। भूखंड पर निर्माण के लिए भिन्नता है। प्रमुख पार्कवे, सार्वजनिक परिवहन, दुकानों, विद्यालयों, पार्कों और रेस्तरां के निकट सुविधाजनक रूप से स्थित है। यह भूखंड 44 शेलबर्न के बाईं ओर है - दाएं तरफ लाल घर है - घर की बिक्री कीमत $749,000 है (कर# 1800-003-000-03208-000-0054, MLS 904460, 0.20 एकड़ पर 3 बेडरूम का घर)।

Buildable level lot, offering a rare opportunity to expand, build a second home, or secure additional privacy and investment potential. The lot has variance to build on. Conveniently Located Near Major Parkways, Public Transportation, Shops, Schools, Parks and Restaurants. The lot is adjacent to 44 Shelburne - the red house, to the right - sale price for the home is $749,000 (tax# 1800-003-000-03208-000-0054, MLS 904460, 3 Bedroom home on .20 Acres).

Courtesy of RE/MAX Classic Realty

公司: ‍914-243-5200

Other properties in this area




分享 Share
$1,54,000
SOLD
बिक्री के लिए भूमि LAND
SOLD
‎48 Shelburne Road
Yonkers, NY 10710


Listing Agent(s):‎
Are you the listing agent? Sign up to add your name and cell #‎
कार्यालय: ‍914-243-5200
请说您在SAMAKI.COM看此广告
请也给我 SOLD